WILLKOMMEN
auf meinem privaten FledermausBlog!
hier gibt es die neuesten Aufnahmen von mir und auch sonstige Neuheiten.
Die Seite ist tlw. Defekt - bin nun am Neuaufbau!
Zur Zeit benutze ich 2 verschiedene Detektoren:
Zur Festellung ob ueberhaupt Fledermaeuse anwesend sind
den Batbox Baton aus England

-einen Frequenzteiler (mit eingebautem Lautsprecher)
und zur Aufnahme der Ultraschall-Laute das Dodotronic Ultramic200K/250k aus Italien
mit der Software SoundChaser aus Frankreich,

ein speziell fuer (WIN 7/8) Tablet-PC entwickeltes Programm.
Beobachtungen 2026
Januar, Februar
Anfang Januar
Bei dem Wetter - wieder Zeit zum stoebern und - gefunden:
Europas Fledermaus des Jahres 2026/2027:
Kleiner Abendsegler
Die Art kommt bei uns im Oestl. Unterallgaeu nicht vor.
Tipps vom Nabu ueber den Umgang mit Fledermaeusen im Winterschlaf:
Fledermaeuse Ueberwintern auch in Kaminholzstapeln
Anfang Maerz
Fledermäuse vertreiben: Ist das notwendig?
Achtung: Bußgeld droht !
auf t-online:
Alle 24 heimischen Fledermausarten stehen auf der Roten Liste.
Wer die nachtaktiven Tiere trotzdem vertreibt, begeht eine Straftat.
Beobachtungen 2025
November
Anfang November
Zeit zum stoebern - gefunden:
auf
scinexx
und auch auf
1und1.de/magazine/wissen
September
Ende September
bei dem konstant Sch....lechten Wetter
Mein Sommer-Gestell abgebaut, benutze wieder mein altes wetterfestes Gestell.
Juni
28. Juni - wie zur Zeit immer auf der Terrasse
endlich wieder ein warmer Abend
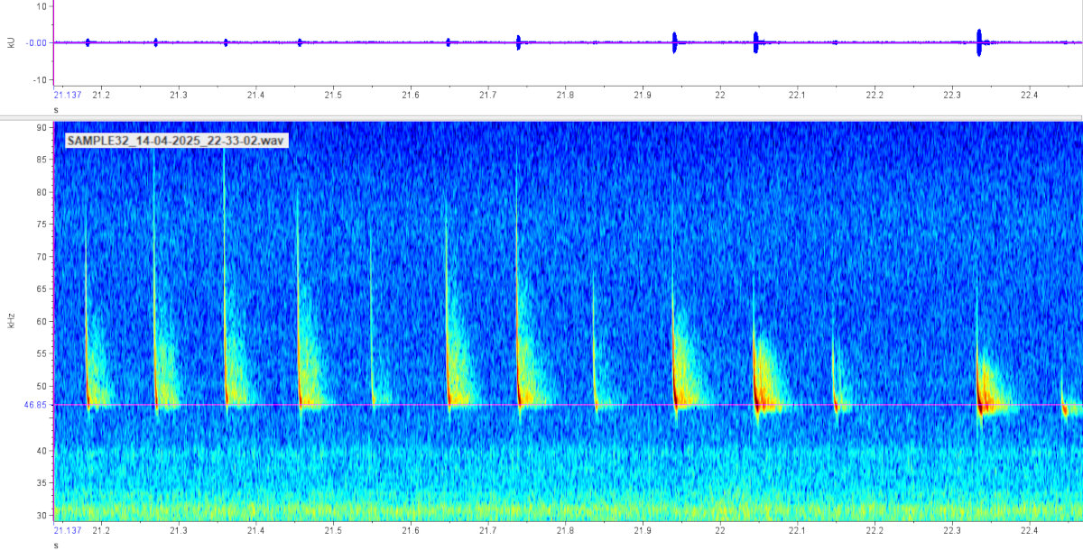
eine Zwergfledermaus - mit Fangrufen
3. Juni - wieder auf der Terrasse
und wie immer - eine Zwergfledermaus
und auch wieder ein - Grosser Abendsegler
Mai
14. Mai - wie zur Zeit immer auf der Terrasse
diesmal mit einem Bier -Plopp
der Grosse Abendsegler "schaute" vorbei
auch noch
eine Zwergfeldermaus - mit Fang-Rufen
10. Mai - auf der Terrasse
wieder mit grosser Ausruestung:
Schon ging es los!
koennte eine Langohr-Fledermaus sein - Doppelruf
und wie immer zuverlaessig:
die Zwergfledermaus
April
28. April - auf der Terrasse
Doch noch ein schoener, warmer Tag und eine klare Nacht.
Ende April - bei dem Wetter
Die Tage und Naechte waren gegen ende des Monats "unbequem" - kalt und verregnet!
War trotzdem oft noch Nachts mit dem BATON und einem Bier auf der Terasse,
aber keine Fledermaeuse zu hoehren!
Es war auch immer ziemlich kalt (unter 10 grad).
Bei dem "Schmuddelwetter" sind keine Insekten unterwegs,
und darum auch keine Fledermaeuse.
Hoffentlich wird es nun im Mai besser.
19. April - auf der Terrasse
Endlich wieder ein schoener, warmer Tag
wieder mit grosser Ausruestung:
Schon ging es los!
Wie jedesmal - die erste: nicht bestimmbar.
Danach
aber auch nicht sicher bestimmbar!
Eine Breitfluegelfledermaus
"schaute" auch mehrmals vorbei.
Wie immer, aber erst spaeter
eine Zwergfledermaus.
Die kam auch mehrmals vorbei.
Auch noch
eine Rauhautfledermaus - mit Fangrufen.
Es wurde ein langer Abend - um 24:00 Uhr machte ich dann Schluss.
15. April - Kontrolle am Quartier
Bei dem schoenen Wetter,
wieder mal vorbeigeschaut:
Sie sind wieder eingezogen, da werde ich demnaechst mit voller Ausruestung vorbei "schauen".
12. April - auf der Terrasse
endlich wieder ein warmer Tag, und milder Abend.
Mit grosser Ausruestung
Musste laenger auf die erste erste Fledermaus warten.
Dann aber doch noch.
Wie fast jedesmal die erste: nicht bestimmbar.
kurz danach
eine Zweifarbfledermaus
eine Zwergfledermaus.
eine Rauhautfledermaus "schaute" auch noch vorbei.
Dann auch noch - der Grosse Abendsegler.
Dann schon wieder - es wurde windig und ungemuetlich - da machte ich Schluss.
7. April - am "Quartier"
ein sonniger, aber kalter Tag.
Am Nachmittag, wie z.Z. jeden Tag, am Quartier vorbeigeschaut.
Ja, es sind Fledermaeuse eingezogen.
Schon Kot, da werde ich demnaechst in der Daemmerung vorbei schauen.
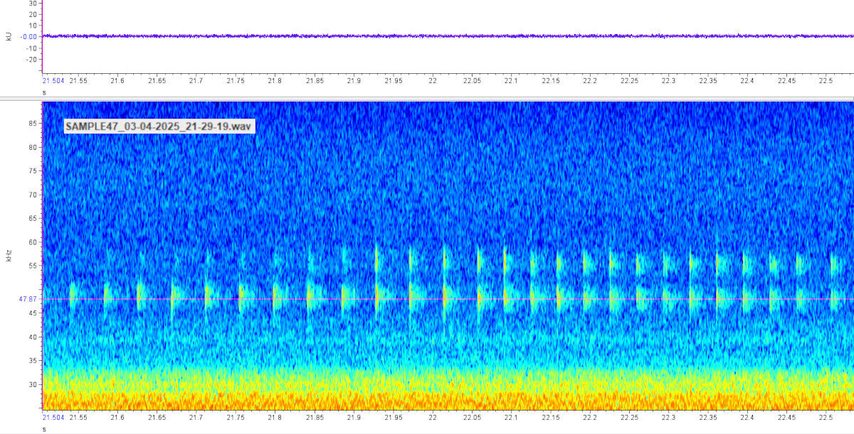
5. April - nochmals auf der Terrasse
wieder ein sonniger, warmer Tag ( 17:00 Uhr noch 18 grad )
Mit grosser Ausruestung
Die erste Fledermaus lies nicht lange auf sich warten
wieder die Doppel-Rufe! Es könnte eine Wimper- oder Nyphenfledermaus gewesen sein?
kurz danach
ein Grosser Abendsegler
dann:
eine Zwergfledermaus, die "schaute mehrmals vorbei.
dann auch noch:
eine Rauhautfledermaus.
Dann kam wieder der kalter Wind, und ich machte Schluss.
3. April - auf der Terrasse
bei dem warmen Wetter
Mit grosser Ausruestung
Die erste Fledermaus konnte ich nicht aufnehmen - Hatte noch nicht richtig Platz genommen.
dann aber:
nicht bestimmbar!
Die naechste:
auch nicht sicher zu bestimmen.
Auch noch, immerhin
eine Fledermaus!
Es waren noch mehere Fledermaeuse unterwegs, aber die Aufnahme klappe nie - meine Finger wude kalt und steiff.
da machte ich dann Schluss.
Anfang April
gefunden:
Wie Fledermäuse im Schwarm ihr eigenes Echo erkennen
und weitere Artikel ueber Fledermaeuse
OrginalArtikel (Englisch)
Maerz
Ende Maerz
Bin nun Umgezogen!
Da das Hochladen der Dateien bei IONOS nur nach mehreren Versuchen geklappt hat, manchmal auch gar nicht!
Bin ich nun bei STRATO "gelandet"
Natuerlich klappt der Umzug nicht reibungslos!
Darum hab ich es momentan auf meine Private Webseite geladen.
am "Quartier"
vorbei geschaut.
24. Maerz
wieder mal schoenes, warmen Wetter, am Nachmittag kurz
am "Quartier"
vorbei geschaut.
Ja, es sind wieder Fledermaeuse eingezogen..
Da werde ich die naechsten Tage - wenn das Wetter "mitmacht" - noch oefters vorbeischauen.
8. Maerz
bei dem schoenen, warmen Wetter am Nachmittag kurz
am "Quartier"
vorbei geschaut.
Das koennte Fledermauskot sein.
Den Batbox Baton ausgepakt: ja, es knatterte.
Das koennten Sozialrufe gewesen sein.
Da werde ich die naechsten Tage noch oefters vorbeischauen.
Januar, Februar
Im Fernsehen
321 MB, 15 Minuten
Ein toller Film ueber die Rauhautfledermaus.
Ein Versuch
Finger-Schnipp
Mit dem ANDROID 10 Zoll Tablet und dem BATBOX BATON
und der kostenlose App Voice Audio Recorder - ASR APK fuer Android:
Mit dem ANDROID 10 Zoll Tablet und dem DODOTRONIC 200
und der kostenlose App Voice Audio Recorder - ASR APK fuer Android:
In Fernsehen und nun auch Online
Licht aus:
Stadt entwickelt "Dunkelstrategie":
Wo es in Erfurt kuenftig dunkler bleiben soll
beim MDR
Nun auch beim ZDF
eine Kindersendung, aber auch fuer Erwachsene Interessant!
mit tollen Aufnahmen
Darum sollten im Freundebuch Fledermaeuse als Lieblingstier stehen:
beim MDR
Beobachtungen 2024
Oktober
Am "Quartier"
Schon mehrmals Fledermaeuse beim Ausflug beobachtet,
und auch Kot ist unter dem Qartier zu sehen.
aber es war immer zu spaet um meine Ausruestung auszupacken!
Da probierte ich es noch vor Sonnenuntergang:
28. Oktober
Ja, es hat geklappt!
Mehrere Grosse Abendsegler.
Aber immer nur ein kurzer Flug, dann wieder zurueck
unter die Verkleidung!
September
Bei dem "Schmudelweter" zur Zeit!
Gelegenheit die
letzten Aufnahmen auf der Terasse
noch mal ansehen.
Am 19. September
war das Wetter noch ertraeglich.
Sonnenuntergang: 19:18 Uhr (Sommerzeit)
Temp. 20:00 Uhr -> +15 C.
klar, O-Wind > 10 km/h, Luftfeuchte 65%
es waren Fledermaeuse unterwegs.
Wie immer:
eine Zwergfledermaus.
Auch noch:
ein Grosser Abendsegler.
auch mit Heuschrecke.
Und eine
Rauhautfledermaus.
Das koennte alles moegliche gewesen sein:
Unbenannt!
War noch oefters Nachts bei einem Bier und dem BATON auf der Terasse,
aber nichts zu hoehren.
Nach dem Jahreszyklus
ist nun die Zeit der Wanderungen gekommen.
Werde meine Ausruestung bald "einmotten".
2. September in der Naehe
am Baechle
Wie zur Zeit immer, eine Zwergfledermaus und Heuschrecken.
Eine Rauhautfledermaus war auch unterwegs.
Das duerfte eine Fransenfledermaus gewesen sein.
Aber die Muecken waren auch aktiv und haben mich vertrieben.
August
27. August auf der Terrasse
wie immer eine Zwergfledermaus
auch eine Breitfluegelfledermaus "schaute" vorbei.
Die Zwergfledermaus kahm immer wieder und auch Heuschrecken waren noch aktiv.


24. und 25. August
Europaeische Fledermausnacht
Mausohren, Hufeisennasen oder Abendsegler:
Fledermäuse haben nicht nur schöne Namen,
sondern faszinieren auch mit ihren spektakulären Flugkünsten.
Wer die schützenswerten, fliegenden Säuger näher kennenlernen will,
hat bei der 28. Europäische Fledermausnacht Ende August die Möglichkeit dazu.
zum Beispiel die Veranstaltungen zur BatNight in Bayern des LBV
22. August auf der Terrasse
Erste-schwache Rufe
das duerfte eine Zwergfledermaus sein. Auch Heuschrecken-Rufe sind zu "sehen".
dann aber deutlich:
Ja, eine Zwergfledermaus, und auch die Heuschrecken-Rufe sind nahe - das muesste ein Wiesengrashuepfer sein.
Auch noch:
eine Rauhautfledermaus
5. August auf der Terrasse
erste Rufe
aber nicht bestimmbar.
Und wie immer
eine Zwergfledermaus,
mit Fangrufen.
Auch noch, aber nicht sicher bestimmbar
koennte eine Wimperfledermaus gewesen sein?
Kurz nach Mitternacht machte ich Schluss.
2. August
Gefunden: Herzschlag von Fledermäusen im Flug.
Der ganze Artikel auf: www.ab.mpg.de/608533/news_publication_22171652_transferred
Juli
28. Juli auf der Terrasse
Ein warmer Tag und eine laue Nacht und dann die erste Fledermaus:
noch schwach und daher nicht genau zu bestimmen.
dann aber:
eine Breitfluegelfledermaus.
Wie immer und auch regelmaessig
eine Zwergfledermaus - hier mit Fangrufen.
Und das koennte eine Alpenfledermaus sein!
Das Bayerische Landsamt fuer Umwelt schreibt: Die Alpenfledermaus zeigt Ausbreitungstendenen nach Norden.
25. Juli am Baechle
wieder ein schoener Tag und Abend
ein kleiner Spaziergang mit voller Ausruestung zum Baechle in der Nähe.
zuerst: nichts, ausser vielen Muecken, dann aber doch noch
eine Zwergfledermaus
dann auch noch: nur schwach, aber es koennte eine
Wasserfledermaus gewesen sein.
Aber dann ..... haben mich die vielen Muecken vertrieben.
18. Juli auf der Terrasse
Ein heisser Tag und noch warmer Abend, da machte ich es mir wieder auf der Terrasse gemuetlich.
Bis 22 Uhr war es ruhig, dann aber: zuerst noch weiter weg
Danach doch noch deutlich:
eine Zwergfledermaus
Und das duerfte eine Breitfluegelfledermaus
gewesen sein.
noch weitere schoene und warme Naechte
Johann